- HOME
- 土地をエリアから探す
- 小平市
- 回田町
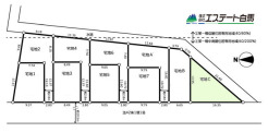
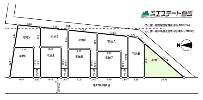
- C号地 小平市回田町全10区画 売地
土地
C号地 小平市回田町全10区画 売地
情報更新日:2026/01/11 次回更新予定日:2026/01/25
所在地東京都小平市回田町[周辺地図]
交 通中央線「武蔵小金井」駅バス12分 停歩2分

ご見学にあわせて、無料の外部FP相談もご利用頂けます。マイホーム購入だけでなく、老後の資金計画・お子様の教育資金等のライフシミュレーションを考慮した上で、無理のない返済計画をご提案させていただきます。
担当スタッフより

- 廣瀬達也
- 若竹幼稚園約150m・小平第三小学校まで約150mと子育てしやすい住環境、2線2駅利用可能です、いなげやまで約220m、お気軽にお問い合わせ下さい、
各棟情報
物件詳細情報
物件No.20000436188-006
| 所在地 | 東京都小平市回田町 | ||
|---|---|---|---|
| 交通 | 中央線「武蔵小金井」駅バス12分 バス停「回田町」停歩2分 西武多摩湖線「一橋学園」駅徒歩19分 中央線「武蔵小金井」駅徒歩35分 |
||
| 土地面積 | 114.1m² 実測 | ||
| 販売区画数 | 10区画 | 総区画数 | 全10区画 |
| 用途地域 | 第一種中高層住居専用地域 | 建ぺい率 | 60% |
| 容積率 | 200% | 都市計画 | 市街化区域 |
| 国土法届出 | 不要 | 建築条件 | 建築条件付 |
| 地目 | 宅地 | 最適用途 | 住宅用地 |
| 現況 | 更地 | 引渡時期 | 相談 |
| 権利種類 | 所有権 | 接道 | 西側10.5M公道に16.35M接道 |
| 小学校区 | 小平第三小学校(150m) | 中学校区 | 小平第三中学校(1800m) |
| 売主名称 | (株)イーカム | 売主免許番号 | 国土交通大臣(01)第10851号 |
| 取引態様 | 媒介 | ||
| 設備 | 公営水道、本下水、都市ガス | ||
| その他制限事項 | 高度地区、準防火地域、不整形地 | ||
| 備考・制限等 | 準防火地域、高度地区、宅地造成及び特定盛土等規制法、重要土地等調査法、不整形地(2.4.6.A.C号棟)、東側水路(2.4.6.A.B.C号棟)、 | ||
こだわり項目
区画整理及び分譲地閑静な住宅地小学校800m以内保育園・幼稚園800m以内スーパー400m以内
- ※価格は物件の代金総額を表示しており、消費税が課税される場合は税込み価格です。(1,000円未満は切り上げ。)
税率は引き渡し時期により異なりますので、各物件の詳細につきましてはお問い合わせください。 - ※敷地権利が借地権のものは価格に権利金を含みます。
- ※制作中に内容が変更される場合もありますので、あらかじめご了承ください。
- ※購入の前には物件内容や契約条件についてご自身で十分な確認をしていただくようにお願いいたします。
- ※完成予想図はいずれも外構、植栽、外観等実際のものとは多少異なることがあります。
- ※CG合成の画像の場合、実際とは多少異なる場合があります。
周辺地図
周辺施設一覧
- ショッピングセンター
- スーパー
- コンビニ
- ドラッグストア
- ホームセンター
- 飲食店
- その他店舗
- 商店街
- 大学
- 専門学校
- 高校・高専
- 中学校
- 小学校
- 保育園
- 幼稚園
- 公民館・児童館
- 病院
- 郵便局
- 役所
- 図書館
- 金融機関
- 警察・消防
- 趣味・娯楽施設
- 公園・運動施設
- 周辺の街並み
- 駅
- その他
お問い合せ先
- 株式会社エステート白馬 所沢店
- お電話でのお問い合わせは
0120-417-898「ホームページを見た」とお問い合わせください - 埼玉県所沢市東住吉12-21 白馬ビルディング
- 営業時間:9:00~18:30
- 定休日:年中無休
- 免許番号:国土交通大臣免許(6)第5817号









