- HOME
- 土地をエリアから探す
- 所沢市
- 大字荒幡
- 所沢市荒幡全1区画 売地
土地
所沢市荒幡全1区画 売地
情報更新日:2026/05/05 次回更新予定日:2026/05/19
価 格1,800万円
所在地埼玉県所沢市大字荒幡[周辺地図]
交 通西武狭山線「下山口」駅徒歩15分






建築条件ございませんのでお好きなハウスメーカーで建築できます
担当スタッフより

- 緒方亜由美
- 広々とした約102坪の土地(セットバック後)、お気軽にお問い合わせ下さい
物件詳細情報
物件No.31011650128
| 所在地 | 埼玉県所沢市大字荒幡 | ||
|---|---|---|---|
| 交通 | 西武狭山線「下山口」駅徒歩15分 西武西武園線「西武園」駅徒歩19分 西武山口線「西武園ゆうえんち」駅徒歩27分 |
||
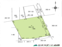
| 土地面積 | 373.57m² 実測 (セットバック35.95m²) | ||
| 販売区画数 | 1区画 | 総区画数 | 全1区画 |
| 用途地域 | 無指定地域 | 建ぺい率 | 60% |
| 容積率 | 200% | 都市計画 | 市街化調整区域 |
| 建築許可事由 | 調整区域により建築許可要 | 国土法届出 | 不要 |
| 建築条件 | 建築条件なし | 地目 | 宅地 |
| 最適用途 | 住宅用地 | 現況 | 更地 |
| 引渡時期 | 相談 | 権利種類 | 所有権 |
| 接道 | 東側4M私道に接道 | 小学校区 | 荒幡小学校(320m) |
| 中学校区 | 山口中学校(1600m) | 取引態様 | 媒介 |
| 設備 | 公営水道、本下水 | ||
| 備考・制限等 | セットバック部分は所沢市に採納予定です | ||
こだわり項目
緑豊かな住宅地小学校800m以内保育園・幼稚園800m以内
- ※価格は物件の代金総額を表示しており、消費税が課税される場合は税込み価格です。(1,000円未満は切り上げ。)
税率は引き渡し時期により異なりますので、各物件の詳細につきましてはお問い合わせください。 - ※敷地権利が借地権のものは価格に権利金を含みます。
- ※制作中に内容が変更される場合もありますので、あらかじめご了承ください。
- ※購入の前には物件内容や契約条件についてご自身で十分な確認をしていただくようにお願いいたします。
- ※完成予想図はいずれも外構、植栽、外観等実際のものとは多少異なることがあります。
- ※CG合成の画像の場合、実際とは多少異なる場合があります。
周辺地図
周辺施設一覧
- ショッピングセンター
- スーパー
- コンビニ
- ドラッグストア
- ホームセンター
- 飲食店
- その他店舗
- 商店街
- 大学
- 専門学校
- 高校・高専
- 中学校
- 小学校
- 保育園
- 幼稚園
- 公民館・児童館
- 病院
- 郵便局
- 役所
- 図書館
- 金融機関
- 警察・消防
- 趣味・娯楽施設
- 公園・運動施設
- 周辺の街並み
- 駅
- その他
お問い合せ先
- 株式会社エステート白馬 所沢店
- お電話でのお問い合わせは
0120-417-898「ホームページを見た」とお問い合わせください - 埼玉県所沢市東住吉12-21 白馬ビルディング
- 営業時間:9:00~18:30
- 定休日:年中無休
- 免許番号:国土交通大臣免許(6)第5817号









