- HOME
- 土地をエリアから探す
- 越谷市
- 大字増林
- 越谷市増林 全2区画 B区画
土地
越谷市増林 全2区画 B区画
情報更新日:2026/05/22 次回更新予定日:2026/06/05
価 格1,150万円
所在地埼玉県越谷市大字増林[周辺地図]
交 通武蔵野線「越谷レイクタウン」駅バス18分 停歩10分





越谷レイクタウン駅までバスで15分ののどかな田園地帯にある約85坪の広々とした住宅用地です。
市街化調整区域ですので、建築するための条件があります。
詳しくはお問合せ下さい。住まい探しは、資金計画から。ファイナンシャルプランナーより、無理のない資金計画をご提案致します。
◆メールでもご相談に応じてます。ご質問は「資料請求ボタン」から。
市街化調整区域ですので、建築するための条件があります。
詳しくはお問合せ下さい。住まい探しは、資金計画から。ファイナンシャルプランナーより、無理のない資金計画をご提案致します。
◆メールでもご相談に応じてます。ご質問は「資料請求ボタン」から。
- すべて(16)
- 外観・パース(15)
- 内観(0)
- 間取・区画(1)
- その他(0)
- 動画
担当スタッフより

- 小寺 哲
- 越谷レイクタウン駅までバスで15分ののどかな田園地帯にある約85坪の広々とした住宅用地です。
市街化調整区域ですので、建築するための条件があります。
詳しくはお問合せ下さい。住まい探しは、資金計画から。ファイナンシャルプランナーより、無理のない資金計画をご提案致します。
物件詳細情報
物件No.31020055980
| 所在地 | 埼玉県越谷市大字増林 | ||
|---|---|---|---|
| 交通 | 武蔵野線「越谷レイクタウン」駅バス18分 バス停「増林小学校前」停歩10分 武蔵野線「越谷レイクタウン」駅徒歩48分 武蔵野線「吉川」駅徒歩59分 |
||
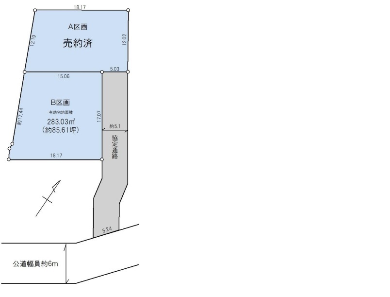
| 土地面積 | 283.03m² 実測 (有効宅地面積283.03平米+協定通路部分80.63平米=363.66平米) | ||
| 販売区画数 | 1区画 | 総区画数 | 全2区画 |
| 用途地域 | 無指定地域 | 建ぺい率 | 60% |
| 容積率 | 200% | 都市計画 | 市街化調整区域 |
| 建築許可事由 | 調整区域により建築許可要(建築主の許可要件有り) | 国土法届出 | 不要 |
| 建築条件 | 建築条件なし | 地目 | 畑 |
| 最適用途 | 住宅用地 | 現況 | 更地 |
| 引渡時期 | 相談 | 権利種類 | 所有権 |
| 接道 | 南東側6M公道に5.24M接道 | 小学校区 | 越谷市立増林小学校(980m) |
| 中学校区 | 越谷市立東中学校(2100m) | 取引態様 | 媒介 |
| 設備 | 公営水道、個別浄化槽、個別LPG | ||
| その他制限事項 | 農地法届出要 | ||
| 備考・制限等 | 開発許可申請、農地転用、公道からの水道引込工事、浄化槽設置工事は買主の負担となります。 協定通路部分はA・B両区画が販売、工事完了後に売主負担にて舗装工事を実施します。 記載の土地面積は現在分筆登記中に付き変動する可能性があります。 告知事項あり 本物件は市街化調整区域につき 、原則建築不可 。ただし越谷市及び隣接する吉川市 、草加市 、春日部市 、松伏町 、さいたま市 、川口市の市街化調整区域に20年以上居住する3親等以内の親族を有する方は専用住宅の建築が可能です 。 |
||
こだわり項目
平坦地
- ※価格は物件の代金総額を表示しており、消費税が課税される場合は税込み価格です。(1,000円未満は切り上げ。)
税率は引き渡し時期により異なりますので、各物件の詳細につきましてはお問い合わせください。 - ※敷地権利が借地権のものは価格に権利金を含みます。
- ※制作中に内容が変更される場合もありますので、あらかじめご了承ください。
- ※購入の前には物件内容や契約条件についてご自身で十分な確認をしていただくようにお願いいたします。
- ※完成予想図はいずれも外構、植栽、外観等実際のものとは多少異なることがあります。
- ※CG合成の画像の場合、実際とは多少異なる場合があります。
周辺地図
周辺施設一覧
- ショッピングセンター
- スーパー
- コンビニ
- ドラッグストア
- ホームセンター
- 飲食店
- その他店舗
- 商店街
- 大学
- 専門学校
- 高校・高専
- 中学校
- 小学校
- 保育園
- 幼稚園
- 公民館・児童館
- 病院
- 郵便局
- 役所
- 図書館
- 金融機関
- 警察・消防
- 趣味・娯楽施設
- 公園・運動施設
- 周辺の街並み
- 駅
- その他
お問い合せ先
- 株式会社エステート白馬 越谷店
- お電話でのお問い合わせは
0120-315-586「ホームページを見た」とお問い合わせください - 埼玉県越谷市大字袋山1361-16 1F
- 営業時間:9:00~18:00
- 定休日:年中無休
- 免許番号:国土交通大臣免許(6)第5817号










