- HOME
- 土地をエリアから探す
- 杉並区
- 堀ノ内
- 杉並区堀ノ内1丁目 売土地
土地
杉並区堀ノ内1丁目 売土地
情報更新日:2026/05/13 次回更新予定日:2026/05/27
価 格4,580万円
所在地東京都杉並区堀ノ内1丁目[周辺地図]
交 通東京メトロ丸ノ内線「方南町」駅徒歩4分

物件詳細情報
物件No.31020217128
| 所在地 | 東京都杉並区堀ノ内1丁目 | ||
|---|---|---|---|
| 交通 | 東京メトロ丸ノ内線「方南町」駅徒歩4分 | ||
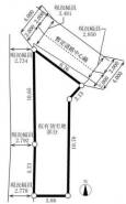
| 土地面積 | 77.65m² (セットバック18.16m²) | ||
| 販売区画数 | 1区画 | 総区画数 | 全1区画 |
| 用途地域 | 第二種住居地域 | 建ぺい率 | 60% |
| 容積率 | 200% | 建築条件 | 建築条件なし |
| 地目 | 宅地 | 現況 | 古家付 |
| 引渡時期 | 相談 | 権利種類 | 所有権 |
| 接道 | 北側4M私道に6.7M接道 | 取引態様 | 媒介 |
- ※価格は物件の代金総額を表示しており、消費税が課税される場合は税込み価格です。(1,000円未満は切り上げ。)
税率は引き渡し時期により異なりますので、各物件の詳細につきましてはお問い合わせください。 - ※敷地権利が借地権のものは価格に権利金を含みます。
- ※制作中に内容が変更される場合もありますので、あらかじめご了承ください。
- ※購入の前には物件内容や契約条件についてご自身で十分な確認をしていただくようにお願いいたします。
- ※完成予想図はいずれも外構、植栽、外観等実際のものとは多少異なることがあります。
- ※CG合成の画像の場合、実際とは多少異なる場合があります。
周辺地図
周辺施設一覧
- ショッピングセンター
- スーパー
- コンビニ
- ドラッグストア
- ホームセンター
- 飲食店
- その他店舗
- 商店街
- 大学
- 専門学校
- 高校・高専
- 中学校
- 小学校
- 保育園
- 幼稚園
- 公民館・児童館
- 病院
- 郵便局
- 役所
- 図書館
- 金融機関
- 警察・消防
- 趣味・娯楽施設
- 公園・運動施設
- 周辺の街並み
- 駅
- その他
お問い合せ先
- 株式会社エステート白馬 中野店
- お電話でのお問い合わせは
0120-512-325「ホームページを見た」とお問い合わせください - 東京都中野区新井2-1-19 パックマートビル4F
- 営業時間:9:30~19:00
- 定休日:年中無休
- 免許番号:国土交通大臣免許(6)第5817号





