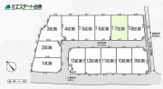
HOME スタッフ紹介 山下伸夫のプロフィール 山下伸夫のプロフィール 次長山下伸夫ヤマシタノブオ ■所属株式会社エステート白馬 所沢店 住宅流通部 ■経験年数18年 ■得意エリア所沢市、入間市、狭山市 ■保有資格宅地建物取引士、賃貸不動産経営管理士 ■趣味・特技読書 ■出身地所沢市 ■年代40代 その物件がお客様にとってベストな物件なのか、より良いものがあるのか、 もちろん、良い点ばかりをお伝えするのではなく、悪い点もきっちりとお知らせし、 お客様と同じ視点で、一緒に家を探していければと思っております。 入間市下藤沢第17全13区画 13号地【新築一戸建て】 販売価格/3,470万円 全13棟の分譲地です、徒歩10分以内(約800m以内)にス―パーやコンビニやドラッグストアがあり買い物便利です、お気軽にお問い合わせ下さい、 所在地入間市大字下藤沢 交通西武池袋線「武蔵藤沢」駅徒歩15分 土地面積130.28m²建物面積95.57m²間取4LDK 全13棟の分譲地です、徒歩10分以内(約800m以内)にス―パーやコンビニやドラッグストアがあり買い物便利です、お気軽にお問い合わせ下さい、 入間市下藤沢第17全13区画 1号地【土地】 所在地/入間市大字下藤沢 交通/西武池袋線「武蔵藤沢」駅徒歩15分 土地面積/131m² 販売価格/2,670万円 全13棟の分譲地です、徒歩10分以内(約800m以内)にス―パーやコンビニやドラッグストアがあり買い物便利です、お気軽にお問い合わせ下さい、 入間市下藤沢第17全13区画 2号地【土地】 所在地/入間市大字下藤沢 交通/西武池袋線「武蔵藤沢」駅徒歩15分 土地面積/131m² 販売価格/2,470万円 全13棟の分譲地です、徒歩10分以内(約800m以内)にス―パーやコンビニやドラッグストアがあり買い物便利です、お気軽にお問い合わせ下さい、 入間市下藤沢第17全13区画 3号地【土地】 所在地/入間市大字下藤沢 交通/西武池袋線「武蔵藤沢」駅徒歩15分 土地面積/151.59m² 販売価格/2,370万円 全13棟の分譲地です、徒歩10分以内(約800m以内)にス―パーやコンビニやドラッグストアがあり買い物便利です、お気軽にお問い合わせ下さい、 入間市下藤沢第17全13区画 4号地【土地】 所在地/入間市大字下藤沢 交通/西武池袋線「武蔵藤沢」駅徒歩15分 土地面積/131.75m² 販売価格/2,470万円 全13棟の分譲地です、徒歩10分以内(約800m以内)にス―パーやコンビニやドラッグストアがあり買い物便利です、お気軽にお問い合わせ下さい、 入間市下藤沢第17全13区画 5号地【土地】 所在地/入間市大字下藤沢 交通/西武池袋線「武蔵藤沢」駅徒歩15分 土地面積/131.75m² 販売価格/2,470万円 全13棟の分譲地です、徒歩10分以内(約800m以内)にス―パーやコンビニやドラッグストアがあり買い物便利です、お気軽にお問い合わせ下さい、 入間市下藤沢第17全13区画 6号地【土地】 所在地/入間市大字下藤沢 交通/西武池袋線「武蔵藤沢」駅徒歩15分 土地面積/131.75m² 販売価格/2,470万円 全13棟の分譲地です、徒歩10分以内(約800m以内)にス―パーやコンビニやドラッグストアがあり買い物便利です、お気軽にお問い合わせ下さい、 入間市下藤沢第17全13区画 7号地【土地】 所在地/入間市大字下藤沢 交通/西武池袋線「武蔵藤沢」駅徒歩15分 土地面積/131.75m² 販売価格/2,470万円 全13棟の分譲地です、徒歩10分以内(約800m以内)にス―パーやコンビニやドラッグストアがあり買い物便利です、お気軽にお問い合わせ下さい、 入間市下藤沢第17全13区画 8号地【土地】 所在地/入間市大字下藤沢 交通/西武池袋線「武蔵藤沢」駅徒歩15分 土地面積/131.75m² 販売価格/2,570万円 全13棟の分譲地です、徒歩10分以内(約800m以内)にス―パーやコンビニやドラッグストアがあり買い物便利です、お気軽にお問い合わせ下さい、 入間市下藤沢第17全13区画 9号地【土地】 所在地/入間市大字下藤沢 交通/西武池袋線「武蔵藤沢」駅徒歩15分 土地面積/130.28m² 販売価格/2,670万円
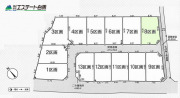
HOME スタッフ紹介 山下伸夫のプロフィール 山下伸夫のプロフィール 次長山下伸夫ヤマシタノブオ ■所属株式会社エステート白馬 所沢店 住宅流通部 ■経験年数18年 ■得意エリア所沢市、入間市、狭山市 ■保有資格宅地建物取引士、賃貸不動産経営管理士 ■趣味・特技読書 ■出身地所沢市 ■年代40代 その物件がお客様にとってベストな物件なのか、より良いものがあるのか、 もちろん、良い点ばかりをお伝えするのではなく、悪い点もきっちりとお知らせし、 お客様と同じ視点で、一緒に家を探していければと思っております。 入間市下藤沢第17全13区画 13号地【新築一戸建て】 販売価格/3,470万円 全13棟の分譲地です、徒歩10分以内(約800m以内)にス―パーやコンビニやドラッグストアがあり買い物便利です、お気軽にお問い合わせ下さい、 所在地入間市大字下藤沢 交通西武池袋線「武蔵藤沢」駅徒歩15分 土地面積130.28m²建物面積95.57m²間取4LDK 全13棟の分譲地です、徒歩10分以内(約800m以内)にス―パーやコンビニやドラッグストアがあり買い物便利です、お気軽にお問い合わせ下さい、 入間市下藤沢第17全13区画 1号地【土地】 所在地/入間市大字下藤沢 交通/西武池袋線「武蔵藤沢」駅徒歩15分 土地面積/131m² 販売価格/2,670万円 全13棟の分譲地です、徒歩10分以内(約800m以内)にス―パーやコンビニやドラッグストアがあり買い物便利です、お気軽にお問い合わせ下さい、 入間市下藤沢第17全13区画 2号地【土地】 所在地/入間市大字下藤沢 交通/西武池袋線「武蔵藤沢」駅徒歩15分 土地面積/131m² 販売価格/2,470万円 全13棟の分譲地です、徒歩10分以内(約800m以内)にス―パーやコンビニやドラッグストアがあり買い物便利です、お気軽にお問い合わせ下さい、 入間市下藤沢第17全13区画 3号地【土地】 所在地/入間市大字下藤沢 交通/西武池袋線「武蔵藤沢」駅徒歩15分 土地面積/151.59m² 販売価格/2,370万円 全13棟の分譲地です、徒歩10分以内(約800m以内)にス―パーやコンビニやドラッグストアがあり買い物便利です、お気軽にお問い合わせ下さい、 入間市下藤沢第17全13区画 4号地【土地】 所在地/入間市大字下藤沢 交通/西武池袋線「武蔵藤沢」駅徒歩15分 土地面積/131.75m² 販売価格/2,470万円 全13棟の分譲地です、徒歩10分以内(約800m以内)にス―パーやコンビニやドラッグストアがあり買い物便利です、お気軽にお問い合わせ下さい、 入間市下藤沢第17全13区画 5号地【土地】 所在地/入間市大字下藤沢 交通/西武池袋線「武蔵藤沢」駅徒歩15分 土地面積/131.75m² 販売価格/2,470万円 全13棟の分譲地です、徒歩10分以内(約800m以内)にス―パーやコンビニやドラッグストアがあり買い物便利です、お気軽にお問い合わせ下さい、 入間市下藤沢第17全13区画 6号地【土地】 所在地/入間市大字下藤沢 交通/西武池袋線「武蔵藤沢」駅徒歩15分 土地面積/131.75m² 販売価格/2,470万円 全13棟の分譲地です、徒歩10分以内(約800m以内)にス―パーやコンビニやドラッグストアがあり買い物便利です、お気軽にお問い合わせ下さい、 入間市下藤沢第17全13区画 7号地【土地】 所在地/入間市大字下藤沢 交通/西武池袋線「武蔵藤沢」駅徒歩15分 土地面積/131.75m² 販売価格/2,470万円 全13棟の分譲地です、徒歩10分以内(約800m以内)にス―パーやコンビニやドラッグストアがあり買い物便利です、お気軽にお問い合わせ下さい、 入間市下藤沢第17全13区画 8号地【土地】 所在地/入間市大字下藤沢 交通/西武池袋線「武蔵藤沢」駅徒歩15分 土地面積/131.75m² 販売価格/2,570万円 全13棟の分譲地です、徒歩10分以内(約800m以内)にス―パーやコンビニやドラッグストアがあり買い物便利です、お気軽にお問い合わせ下さい、 入間市下藤沢第17全13区画 9号地【土地】 所在地/入間市大字下藤沢 交通/西武池袋線「武蔵藤沢」駅徒歩15分 土地面積/130.28m² 販売価格/2,670万円